Description
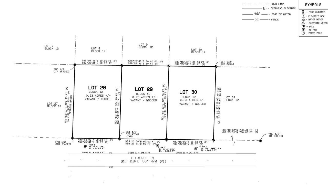
Exceptional Opportunity: Two Land Parcels with Buildable Potential! Discover one of the last remaining gems in this coveted area! We are exclusively listing Lots 28-29, located as the two parcels on the left when facing the property from Laurel Lane. This offering provides a unique opportunity to create your dream home, vacation retreat, or even place a mobile home. Lot 28: Wooded with serene stream. Potentially buildable if buyer brings in additional fill dirt to elevate the property. Lot 29: Buildable with a completed percolation test and fill dirt added. Partially cleared with space for driveway. Enjoy the most beautiful beaches on the Emerald Coast, with convenient access to Highways 331 and 10. This location is ideal for both tranquility and accessibility. More... Prime Location and Features: Two Parcels: Lot 28: Wooded with a serene stream; potentially buildable if additional fill dirt is added. Lot 29: Buildable; percolation test completed, fill dirt added, and partially cleared with driveway access prepared. Convenient Access: Located with ease of travel to Crestview and Defuniak Springs via Highways/331 and/10. Utilities Ready: Electric and water available at the street, with land prepared for septic on both lots. Driveway Access: Lot 29: Driveway has been cut in. Lot 28: Prepped for driveway access with trees cleared. Septic and Survey: Septic tests are completed, and the survey confirms there are no protected wetlands on the property. Additional Highlights: Scenic Surroundings: Beautiful trees, a peaceful stream on Lot/28, and a small pond enhance the natural environment. Privacy and Space: The land maintains privacy with surrounding trees, especially on the wooded Lot/28. Investment in Preparation: Over $10K in clearing and grading work has been completed on Lot/29, facilitating easier construction. Potential for Expansion: Ideal for a guest house, a separate home, or mobile homes, maximizing the use of both lots. Buyer to verify all information. Don't miss out on this exceptional opportunity to own a rare piece of land in a serene and accessible location. These properties offer incredible value with significant preparation already completed on Lot/29 and natural beauty on Lot/28. Start planning your dream home, vacation getaway, or mobile home setup today!
-
0BEDS
-
0.46ACRES
-
0BATHS
-
01/2 BATHS
School Information
Description
Exceptional Opportunity: Two Land Parcels with Buildable Potential! Discover one of the last remaining gems in this coveted area! We are exclusively listing Lots 28-29, located as the two parcels on the left when facing the property from Laurel Lane. This offering provides a unique opportunity to create your dream home, vacation retreat, or even place a mobile home. Lot 28: Wooded with serene stream. Potentially buildable if buyer brings in additional fill dirt to elevate the property. Lot 29: Buildable with a completed percolation test and fill dirt added. Partially cleared with space for driveway. Enjoy the most beautiful beaches on the Emerald Coast, with convenient access to Highways 331 and 10. This location is ideal for both tranquility and accessibility. More... Prime Location and Features: Two Parcels: Lot 28: Wooded with a serene stream; potentially buildable if additional fill dirt is added. Lot 29: Buildable; percolation test completed, fill dirt added, and partially cleared with driveway access prepared. Convenient Access: Located with ease of travel to Crestview and Defuniak Springs via Highways/331 and/10. Utilities Ready: Electric and water available at the street, with land prepared for septic on both lots. Driveway Access: Lot 29: Driveway has been cut in. Lot 28: Prepped for driveway access with trees cleared. Septic and Survey: Septic tests are completed, and the survey confirms there are no protected wetlands on the property. Additional Highlights: Scenic Surroundings: Beautiful trees, a peaceful stream on Lot/28, and a small pond enhance the natural environment. Privacy and Space: The land maintains privacy with surrounding trees, especially on the wooded Lot/28. Investment in Preparation: Over $10K in clearing and grading work has been completed on Lot/29, facilitating easier construction. Potential for Expansion: Ideal for a guest house, a separate home, or mobile homes, maximizing the use of both lots. Buyer to verify all information. Don't miss out on this exceptional opportunity to own a rare piece of land in a serene and accessible location. These properties offer incredible value with significant preparation already completed on Lot/29 and natural beauty on Lot/28. Start planning your dream home, vacation getaway, or mobile home setup today!
Related Properties
© 2026 Emerald Coast Association of Realtors MLS. All rights reserved. IDX information is provided exclusively for consumers' personal, non-commercial use and may not be used for any purpose other than to identify prospective properties consumers may be interested in purchasing. Information is deemed reliable but is not guaranteed accurate by the MLS or Christie's International Real Estate Emerald Coast. Vendor Member number: 28178. Data last updated: 2026-04-18T15:00:35.563.
Vendor Member #28178.
